


Teren Intravilan- industrial Pantelimon- Padurea Pustnicu- DN3
Pantelimon
699.990€
- ID:P3533
- S. teren:10310.00 mp
- Front stradal:30.00 m
- Clasificare teren:Intravilan
Descriere
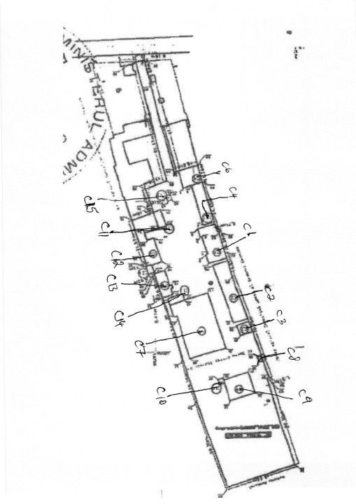
ERezidential va propune spre vanzare un teren industrial cu iesire La DN3 Aparoape de centura Bucuresti.
Acesta are o suprafata de 10.310 mp.
Pe teren sunt construite mai multe hale pe o suprafata de 3100mp, jumatate din acestea fiind inchiriate la pretul de 3500 eur.
Zone de interes: Manastirea Pasare, Padurea Pustnicu, Centura Bucuresti
Pentru mai multe detalii si vizionari ne puteti contacta telefonic.
Specificatii
Curent
Apa
Gaz
Esti interesat de aceasta proprietate ?